Skip to content

Brian Hastings

Unified Command Center at heart of COVID-19 response

Alabama’s fight against the coronavirus is headed from the Unified Command center, a “war room” set up by the governor, where 175 state employees lead Alabama’s response to the COVID-19 global pandemic. The Unified Command Center is located in the RSA Tower in downtown Montgomery. Alabama’s Unified Command for COVID-19 Response is a team comprised … Continued
/
June 1, 2020

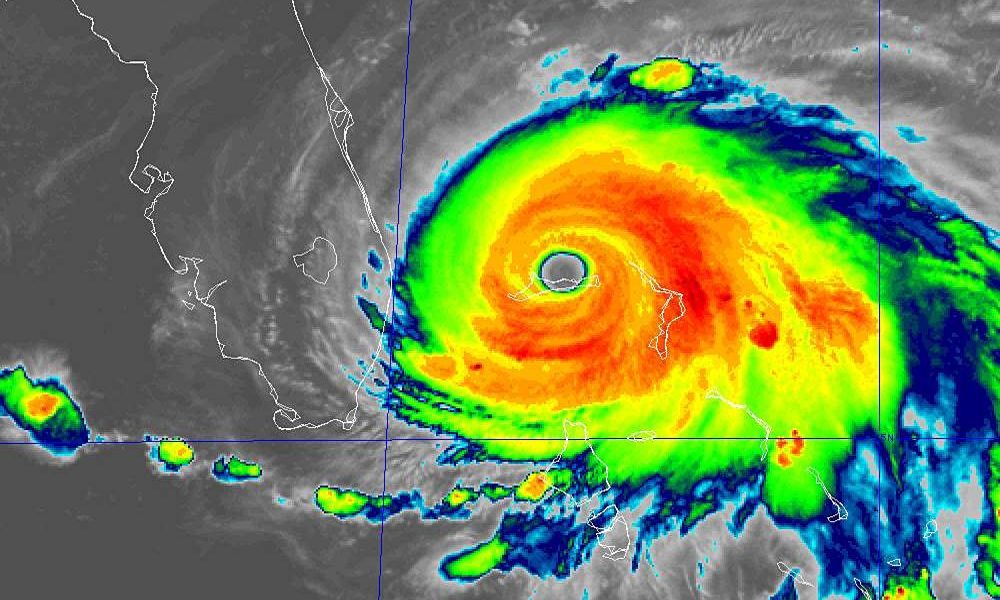
Ivey approves sending National Guard support to Florida as needed

Alabama Gov. Kay Ivey announced that she has approved the Alabama National Guard sending up to 50 support personnel to Florida, should the need arise from the then approaching Hurricane Dorian. “Alabamians believe in neighbors helping neighbors, and we stand ready to support the Floridians however we can,” Governor Ivey said. “Alabama is familiar with … Continued
/
September 2, 2019

Trump declares Major Disaster for four Alabama counties impacted by Hurricane Michael

In response to Governor Kay Ivey’s request, President Donald Trump declared that a major disaster exists in the state of Alabama, as a result of Hurricane Michael. This declaration means that Federal Emergency Management Agency (FEMA) Public Assistance Program will provide assistance to four affected counties: Geneva, Henry, Houston and Mobile Counties. “I appreciate President … Continued
/
November 6, 2018

Trump approves Emergency Disaster Declaration for Alabama counties impacted by Hurricane Michael

President Donald Trump approved an Emergency Disaster Declaration for the state of Alabama in response to Gov. Kay Ivey’s request on Oct. 11. The Federal Emergency Management Agency Public Assistance Program will provide assistance under category B to Alabama counties impacted by Hurricane Michael. “I greatly appreciate President Trump approving our request for federal assistance,” … Continued
/
October 15, 2018

Hurricane Michael to make landfall today

Hurricane Michael is continuing on its course towards the Florida Gulf Coast gaining strength as it continues to track north. As of press time the Hurricane eyewall was anticipated to make landfall at approximately 1:00 p.m. in the area of Panama City, Florida. Michael is currently a Category 4 hurricane with winds of 130 miles … Continued
/
October 10, 2018

Ivey approves deployment of personnel, resources to North Carolina ahead of Hurricane Florence

Wednesday, Governor Kay Ivey (R) announced that Alabama is sending state personnel and resources to North Carolina to assist with hurricane response efforts. The Alabama Emergency Management Agency (AEMA) has received requests for assistance from North Carolina and South Carolina as Hurricane Florence approaches the East Coast. Currently AEMA has one mobile communication site vehicle, … Continued
/
September 13, 2018

State lawmakers announce grant to fight opioid overdoses

State Sens. Gerald Dial and Jim McClendon announced a new grant from Kaleo Pharmaceuticals that will provide every volunteer rescue squad truck in the state of Alabama with a potentially life-saving treatment for the growing number of opioid overdoses in the state. Executives with Kaleo, state Representative Arnold Mooney, R-Indian Springs, officials with the Alabama … Continued
/
May 3, 2018